Σε μια εποχή όπου οι κοραλλιογενείς ύφαλοι αντιμετωπίζουν τη μεγαλύτερη κρίση στην ιστορία τους, η επιστήμη βάζει μπροστά τη φαντασία και την τεχνογνωσία της για να προσφέρει μια λύση που θυμίζει περισσότερο ταινία επιστημονικής φαντασίας παρά πραγματικότητα. Η λύση αυτή έρχεται σε μορφή… τζελ. Το SNAP (Surface Nucleation for Advanced Priming) gel είναι μια καινοτομία που υπόσχεται να βοηθήσει στην αποκατάσταση των κατεστραμμένων υφάλων και να αλλάξει ριζικά τον τρόπο που προσεγγίζουμε τη θαλάσσια προστασία.
Το συγκεκριμένο υλικό αναπτύχθηκε από μια διεπιστημονική ομάδα επιστημόνων του Πανεπιστημίου της Καλιφόρνια στο Σαν Ντιέγκο και του Πανεπιστημίου του Τέξας στο Όστιν, με επικεφαλής τον καθηγητή Shaochen Chen. Η βασική ιδέα ήταν να δημιουργηθεί ένα «έξυπνο» υπόστρωμα πάνω στο οποίο οι κοραλλιογενείς πολυπόδες -τα μικροσκοπικά ζωντανά όντα που σχηματίζουν τους ύφαλους- να μπορούν να προσκολλώνται πιο εύκολα και πιο γρήγορα. Έτσι, μέσω ενός 3D εκτυπωμένου πλέγματος που μιμείται την υφή του φυσικού ύφαλου και με την προσθήκη του SNAP gel, κατάφεραν να ενισχύσουν εντυπωσιακά τη φυσική ικανότητα των πολυπόδων να εγκαθίστανται και να αναπτύσσονται.

Σύμφωνα με τη μελέτη που δημοσιεύτηκε στο περιοδικό Nature Communications, οι πολυπόδες παρουσίασαν 10 φορές υψηλότερη προσκόλληση όταν χρησιμοποιήθηκε το συγκεκριμένο τζελ σε σύγκριση με απλές επιφάνειες. Το πιο ενθαρρυντικό όμως είναι ότι αυτή η διαδικασία δεν απαιτεί ειδικό εργαστηριακό εξοπλισμό ούτε χρονοβόρες διαδικασίες: μπορεί να εφαρμοστεί κατευθείαν στο σημείο όπου ο ύφαλος έχει υποστεί ζημιά, καθιστώντας την ιδανική για δράσεις αποκατάστασης στο πεδίο.
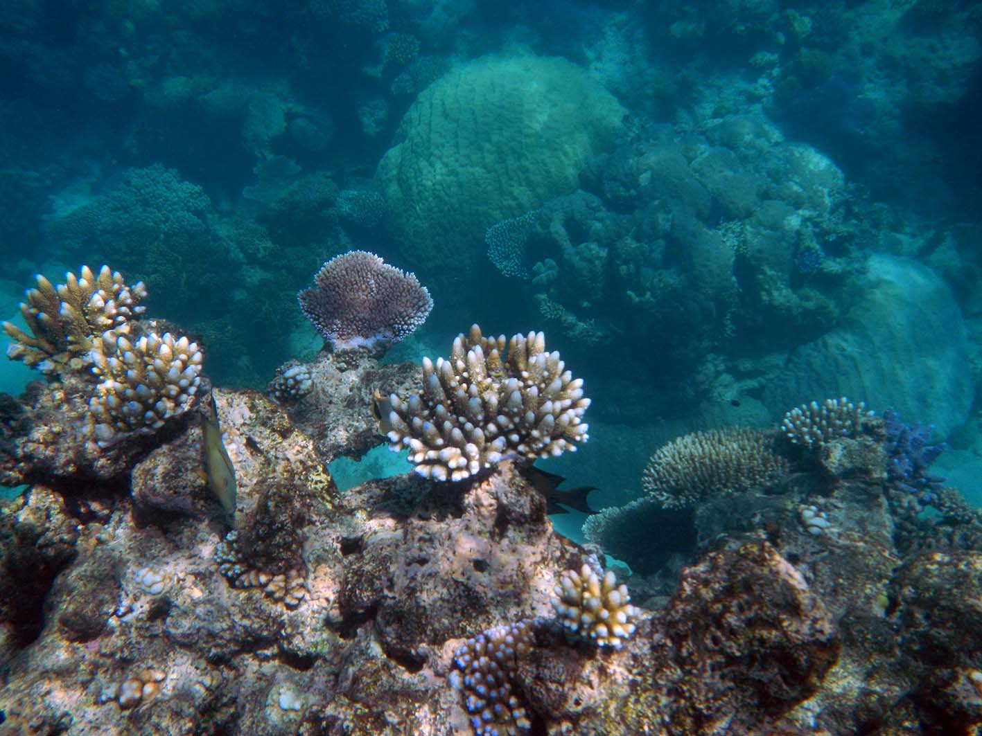
Η πρακτικότητα αυτή αποκτά τεράστια σημασία όταν αναλογιστούμε την κλίμακα του προβλήματος. Περισσότερο από το 70% των κοραλλιογενών υφάλων σε παγκόσμιο επίπεδο έχει επηρεαστεί από την υπερθέρμανση των ωκεανών, τη ρύπανση και την οξίνιση των νερών. Η Αυστραλία, οι Μαλδίβες, οι Σεϋχέλλες, ακόμα και περιοχές της Καραϊβικής βλέπουν τα πολύχρωμα θαλάσσια οικοσυστήματά τους να ξεθωριάζουν. Οι ύφαλοι αυτοί όμως δεν είναι απλά ένας εντυπωσιακός τουριστικός πόλος: είναι το «φράγμα ζωής» για εκατομμύρια θαλάσσια είδη και για ανθρώπινες κοινότητες που εξαρτώνται από αυτούς για την τροφή, την προστασία από τα κύματα, την αλιεία και τον οικοτουρισμό.

Το SNAP gel έρχεται να λειτουργήσει σαν καταλύτης. Δεν αντικαθιστά τον ύφαλο, αλλά ενισχύει τη φυσική του δυνατότητα να επουλώνεται. Σαν να του δίνει μια «επούλωση πρώτης βοήθειας» σε κρίσιμες περιοχές, ώστε να ξαναγεννηθεί με τους δικούς του ρυθμούς. Επιπλέον, το ίδιο το υπόστρωμα πάνω στο οποίο εφαρμόζεται μπορεί να διαμορφωθεί με τέτοιο τρόπο ώστε να προσελκύει συγκεκριμένα είδη κοραλλιών ανάλογα με το περιβάλλον, δημιουργώντας στοχευμένες λύσεις για κάθε θάλασσα.
Αν αυτό το «θαυματουργό» τζελ αποδειχθεί επιτυχημένο σε μαζική κλίμακα, τότε ανοίγει ο δρόμος για μια νέα εποχή στην περιβαλλοντική αποκατάσταση. Φανταστείτε έναν δύτη που κατεβαίνει στον βυθό με ένα ειδικά σχεδιασμένο κιτ, εφαρμόζει το SNAP gel σε έναν κατεστραμμένο ύφαλο και λίγες εβδομάδες μετά βλέπει τους πρώτους πολυπόδες να ανθίζουν. Είναι το είδος της επιστημονικής μαγείας που αποδεικνύει ότι η τεχνολογία, όταν συνεργάζεται με τη φύση, μπορεί να κάνει θαύματα.
Σε έναν πλανήτη που αλλάζει με ρυθμούς καταιγιστικούς, οι ελπίδες για το μέλλον κρύβονται πολλές φορές σε μια μικρή λεπτομέρεια. Στην προκειμένη περίπτωση, σε ένα διάφανο τζελ που μοιάζει απλό, αλλά έχει τη δύναμη να φέρει πίσω τη ζωή στα βάθη των θαλασσών.